一覧に戻る

2027年春竣工予定✨

【高槻市】富田町5丁目スーパー隣接の新築クリニックモール計画

物件番号 27-730
所在地 大阪府高槻市富田町5丁目27−17
交通 阪急京都線 「富田」駅 徒歩12分
JR京都線 「摂津富田」駅 徒歩14分
募集科目 内科小児科整形外科皮膚科耳鼻咽喉科眼科泌尿器科精神・心内産科・婦人科脳神経外科
更新日 2026-2-20

2路線徒歩圏内医療ビル駐車場ありフリーレント可能新築・計画案件

問い合わせる

お気に入りに登録

物件概要

高槻市富田町5丁目の新築医療モール計画です。
半径1㎞圏内の人口は、約39,000人。
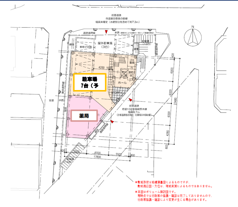
駐車場を設置予定で、幅広いエリア、年齢層の集患可能です。
また地域住民の生活動線上に位置しており、隣地にはスーパーマーケット(マルヤス登美の里店)があり、早期の認知と早い立ち上がりが期待できます。
最新の募集状況や詳細等、お問い合わせください。

 

募集区画はこちら☟

 

 

面積 2階 ①38.20 坪/2階 ②37.90 坪/3階62.40 坪  ※区画面積調整可能
物件の階数 2階、3階
賃貸料、共益費 詳しくはお問い合わせください。
敷金・礼金等 詳しくはお問い合わせください。
引渡仕様 スケルトン
契約期間 詳しくはお問い合わせください。
駐車場 駐車場(7台予定)、駐輪場(予定)
大きな地図で見る

診療圏調査無料サービス

お問い合わせフォームに標榜予定科目・開業予定時期をご記入の上お送りください。
診療圏調査を無料でお受け取り頂けます。(医師限定)

お問い合わせ

    必須物件番号

    必須連絡方法

    必須標榜予定科目

    必須お名前

    必須ふりがな

    必須メールアドレス

    必須電話番号

    任意住所

    任意開業希望時期

    任意希望条件

    必須お問い合わせ内容

    兵庫 大阪 京都 滋賀 和歌山 奈良 大阪市